万科阳关大道新项目规划公示|贵州文化广场项目规划调整
扫描到手机,新闻随时看
扫一扫,用手机看文章
更加方便分享给朋友
来源:樾筑
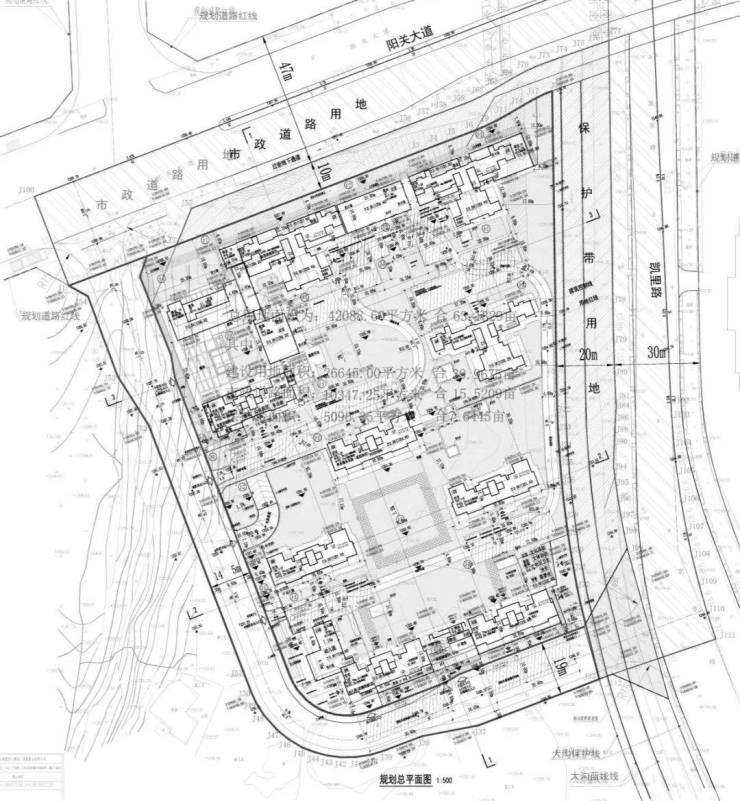
——4月17日,贵阳市自然资源和规划局公布了万科都会印象项目,即万科阳关大道新项目规划平面图。
据悉,项目容积率2.5,建筑密度20.7%,绿地率35%,总户数589户,总停车位441个;
规划有9栋住宅,其中3栋为34层高T4高层,6栋为16层高T2小高层。
根据规划平面图,项目楼栋总体呈合围式布局,中庭安插有一栋楼王。
所有楼栋朝向完全统一,全部朝东南,系贵阳市采光通风都比较舒适的朝向。
根据粗略计算,项目高层楼栋户均面积约为100平米,小高层楼栋户均面积约为120-128平米。
除以上特点外,该项目还有一大规划亮点值得一说,即项目所有楼栋视野都相对不错。
项目所有楼栋之间,都做了略微错位的规划,而没有错位的部分,则都保持了至少45米以上的楼间距。
从目前的规划来看,万科都会印象项目总体走的还是小而精的路子,规划方向有点类似于龙湖天曜一期,但舒适度更高一些。
作为观山东核心地铁房项目,万科都会印象十分受市场关注。
而从本次公布的规划来看,项目应该已经做好了产品规划,预计不久就将面世。
——4月17日,贵阳市自然资源和规划局公示了南明区贵州文化广场(河滨剧场)棚户区改造项目商品房去库存方案。
贵州文化广场项目进行商改住调整。
据悉,贵州文化广场项目原商住比为73.2:26.8。
规划调整后,项目未修建、未出售部分商住比为50.05:49.95;
商业建筑较原方案减少224766平米,居住建筑增加224766万平米,人口规模约10694人,较调整前增加4012人。
调规后,项目根据规范要求需新增配建幼儿园学位190个、小学学位274个、初中学位148个、高中学位135个。
本次调整方案在项目地块内配建有幼儿园9班,可解决幼儿园学位270个。
小、中学学位由贵溪小学、都市路小学、市二十一中、市十六中进行解决。
声明:本文由入驻焦点开放平台的作者撰写,除焦点官方账号外,观点仅代表作者本人,不代表焦点立场。


